Катастрофа в Карибите: Ураганът „Мелиса“ връхлетя Ямайка с 282 км/ч, властите очакват гибел на хора
Един от най-мощните урагани, регистрирани някога в Карибите, „Мелиса“, връхлетя югозападната част на Ямайка с ветрове от 282 км/ч, достигайки Категория 5. Властите обявиха ситуацията за „катастрофална“ и призоваха за международна подкрепа. Експерти свързват необичайната сила на бурята с глобалното затопляне и по-топлите води на Атлантическия океан.
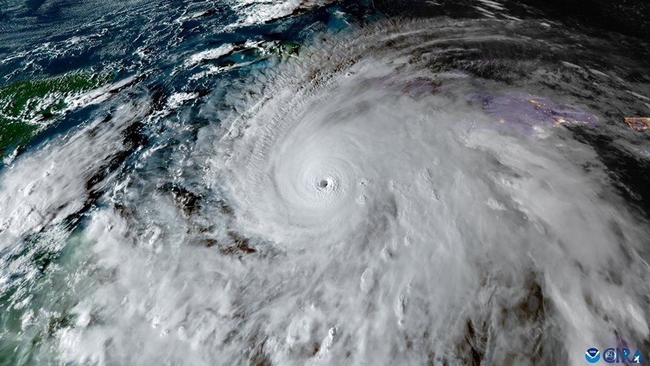
СНИМКА: РОЙТЕРС
Един от най-мощните урагани, регистрирани някога в Карибите, „Мелиса“, връхлетя югозападната част на Ямайка, предизвиквайки масови евакуации и отмяна на полети. Мощната буря носи ветрове със скорост от 282 км/ч и проливни дъждове, за които се очаква да достигнат до 100 см на квадратен метър. Това превръща „Мелиса“ в най-силния ураган за годината.
С бавната си скорост на придвижване от само 3 км/ч, се очаква бедствието да отприщва разрушителните си сили в продължение на няколко дни. Метеоролозите определиха урагана като Категория 5 по скалата на Сафир-Симпсън, което означава, че природното явление е изключително опасно и е причинило гибел на хора.
Заради наближаващата опасност, почивките на хиляди туристи в Ямайка бяха съсипани. Полетите бяха отменени, а на почиващите е съобщено, че няма начин да напуснат острова. Много хора описваха в социалните мрежи как мечтаната им ваканция се е превърнала в кошмар. Британската туристка Ребека Чапман, блокирана на острова, сподели за зловещата атмосфера:
“Има един странен рев, който като че ли идва от навътре в морето.Наистина е плашещо,усеща се, че нещо идва. Птиците избягаха, всичко е много тихо”
— Ребека Чапман, британска туристка
Властите на Ямайка определят ситуацията като „катастрофална“ и призоваха гражданите да се насочат към указаните убежища. От ямайското министерство на здравеопазването предупредиха обществеността да проявява изключителна предпазливост.
“Призоваваме обществеността да проявява изключителна предпазливост. Дори и малки грешки по време на ураган могат да доведат досериозни наранявания или смърт”
— ямайското министерство на здравеопазването
Очаква се бурята да предизвика множество внезапни наводнения, които да причинят невъобразими щети на местните общини. Министърът на местното самоуправление, Дезмънд Маккензи, изрази дълбока тревога:
“Много от тези общности няма да оцелеят след подобни наводнения”
— Дезмънд Маккензи, министърът на местното самоуправление
Премиерът на страната Андрю Холнес призна, че „Мелиса“ ще има катастрофални последствия, казвайки: „На колене съм и се моля за нас”. Международната федерация на обществата от Червения кръст и Червения полумесец оценява, че около 1,5 милиона души ще бъдат засегнати от урагана.
Връзка с климатичните промени
Професорката по хидрология Хана Клоук определи природното явление като странно заради необичайния си начин на поведение – „Мелиса“ е стояла дълго време в океана, за да набира сили. Според нея и нейните колеги, особената сила на урагана е причинена от по-топлите води на Атлантическия океан поради глобалното затопляне. Тя обясни, че колкото по-топло е морето, толкова повече енергия може да събере бурята. Метеорологът Джонатан Портър предупреди, че Ямайка разполага с ограничени ресурси и може бързо да се стигне до хуманитарна криза, изисквайки значителна международна подкрепа, след като „Мелиса“ утихне.
Междувременно, генералният секретар на ООН Антониу Гутериш обяви, че преминаването на температурната граница от 1,5 градуса по Парижкото споразумение вече е неизбежно, тъй като човечеството се е провалило в стремежите си да овладее опасността от глобалното затопляне. Последните 10 години са били най-горещите в цялата история на човечеството. Гутериш посочи, че само 62 от всички 195 страни по договора от 2015 г. спазват условията му, като САЩ, Европа и Китай продължават да изостават.
“Абсолютно необходимо е да променим курса, за да се уверим, че превишението на климатичната граница е с възможно най-ниска интензивност. Не искаме да видим Амазонската джунгла като изсъхнала савана”
— Антониу Гутериш, генералният секретар на ООН
След като премине през Ямайка, „Мелиса“ се очаква да се насочи към Каймановите острови, Куба и Бахамските острови. Националният център за урагани на САЩ прогнозира, че макар бурята постепенно да отслабне, тя ще остане опасна поне до края на седмицата.
